Destacados
Últimas noticias
Protestas ecologistas marcan la asamblea del gigante energético TotalEnergies en París
El gigante petrolero francés TotalEnergies celebró este viernes su asamblea general anual en París, donde la policía disparó gases lacrimógenos contra activistas ecologistas que intentaban impedir que se llevara a cabo.
Los futuros jardines de Notre Dame siembran la discordia en París
¿Restaurar el patrimonio de forma idéntica o adaptarlo a una ciudad moderna en pleno cambio climático? Esta es la disyuntiva que sacude París a propósito de la futura remodelación de los alrededores de la turística catedral de Notre Dame y de sus jardines.
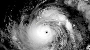
El tifón Mawar se aleja Guam tras causar estragos
El tifón Mawar, que sacudió a Guam con vientos de hasta 225 kilómetros por hora, se aleja de la isla este jueves después de que la noche anterior dejó a esta isla del Pacífico sin electricidad, ventanas destrozadas y edificio inundados.
El potente tifón Mawar se aleja de Guam tras una noche de estragos
El tifón Mawar, que sacudió a Guam con vientos de hasta 225 kilómetros por hora, se aleja de la isla este jueves mientras los residentes de este enclave militar estadounidense en el Pacífico evalúan los daños.
"Se ha evitado la hambruna", la ONU recauda USD 2.400 millones para el Cuerno de África
La comunidad internacional se comprometió este miércoles en la ONU a donar 2.400 millones de dólares -de los 7.000 millones requeridos-, para paliar la hambruna en el Cuerno de África provocada por una sequía histórica y los conflictos.
El tifón Mawar sacude Guam con destructivos vientos
El tifón Mawar pasó lenta y arrasadoramente sobre la isla de Guam el miércoles, dejando al lejano enclave militar de Estados Unidos en el Pacífico sin electricidad, mientras feroces vientos destrozaban ventanas y marejadas inundaban edificios, en la que constituye la peor tormenta que azotó este territorio en décadas.
El tifón Mawar pasa cerca de la isla estadounidense de Guam
El tifón Mawar, con vientos potencialmente catastróficos, pasó este miércoles al norte de la isla de Guam, territorio de Estados Unidos situado en el Pacífico y puesto militar de crucial importancia, informó el gobernador.
La isla estadounidense de Guam se prepara para el impacto del supertifón Mawar
El supertifón Mawar, con vientos potencialmente catastróficos, se dirige directamente a la isla de Guam, territorio de Estados Unidos situado en el Pacífico y puesto militar de crucial importancia.
Siete estados de EEUU alcanzan acuerdo para proteger el río Colorado
El gobierno de Estados Unidos anunció el lunes que siete estados del oeste del país llegaron a un acuerdo histórico para proteger el río Colorado, cuyo cauce se ha reducido debido a un cuarto de siglo de sequía y al empeoramiento de las condiciones climáticas.
Los gigantes petroleros del Golfo apuestan por la captura de CO2
Criticados por su impacto en el medio ambiente, los países petroleros del Golfo están apostando por las empresas especializadas en la captura de CO2 para reducir sus emisiones y combatir el cambio climático.
El Giro recorta su 13ª etapa debido a la meteorología desfavorable
La 13ª etapa del Giro de Italia fue recortada y su salida retrasada tres horas y media debido a una meteorología muy desfavorable, anunció la organización de la carrera este viernes.
Inundaciones en el norte de Italia dejan 11 muertos y pueblos devastados
El balance de víctimas se eleva a once muertos este jueves en Emilia-Romaña, región del noreste de Italia donde las inundaciones dejaron localidades devastadas y miles de explotaciones agrícolas afectadas.
Evacuan pueblos afectados por inundaciones en el norte de Italia
Las autoridades italianas evacuaban el jueves localidades afectadas por las inundaciones en Emilia-Romaña, en el noreste del país, donde ya murieron nueve personas.
Las inundaciones en Italia dejan al menos 9 muertos y obligan a anular GP de F1
Las inundaciones causadas por lluvias torrenciales en el norte de Italia dejaron al menos nueve muertos y obligaron a anular el GP de Fórmula 1 previsto este fin de semana.
Una gélida ciudad de EEUU se convierte en refugio en era del cambio climático
De pie en la gélida costa del lago Superior, con el hielo derretido que brilla bajo el sol del norte del estado de Minnesota, Christina Welch recuerda lo que la llevó a cambiar los templados viñedos del norte de California, en el oeste estadounidense, por la helada ciudad de Duluth.
El período 2023-2027 será probablemente el más caluroso jamás registrado, alerta la ONU
El período 2023-2027 será muy probablemente el más caluroso jamás registrado, debido al impacto de los gases de efecto invernadero y el fenómeno meteorológico El Niño, que están provocando un aumento de las temperaturas, alertó el miércoles la ONU.
Honduras declara alerta en 64 municipios amenazados por sequía
El gobierno hondureño declaró este lunes "alerta verde" en 64 municipios amenazados por inseguridad alimentaria ante la perspectiva de una severa sequía, informó el Ministerio de Gestión de Riesgos.
Ciclón Mocha causa tres muertos en Birmania y deja ciudad aislada
El ciclón Mocha causó tres muertos en su paso por el oeste de Birmania, en el golfo de Bengala, y decenas de miles de habitantes de la ciudad portuaria de Sittwe seguían este lunes aislados del mundo.
El ciclón Mocha causa tres muertos en Birmania
Tres personas murieron en Birmania a raíz del paso del ciclón Mocha por el oeste del país y el vecino Bangladés, informó este lunes la junta militar birmana.
Ciclón Mocha se convierte en huracán categoría 5 rumbo a Birmania y Bangladés
El ciclón Mocha se intensificó a su máxima potencia el domingo, hasta huracán categoría 5, conforme se acercaba a las costas de Bangladés y Birmania en el Golfo de Bengala, desde donde fueron evacuadas cientos de miles de personas.
Millonaria conversión de deuda por naturaleza en Ecuador beneficia a islas Galápagos
Ecuador realizó una operación de conversión de deuda por naturaleza sobre un total de casi 1.630 millones de dólares, un procedimiento que reduce su pasivo y genera ahorros que serán destinados a la conservación de las islas Galápagos, anunciaron el gobierno e instituciones asociadas al proceso.
Unos 258 millones de personas necesitaron ayuda alimentaria de urgencia en 2022, según la ONU
Unos 258 millones de personas necesitaron ayuda alimentaria de urgencia en 2022, debido a los conflictos, las crisis económicas y las catástrofes climáticas, una cifra muy superior a los 193 millones del año anterior, alertaron el miércoles varias agencias de la ONU.
El presidente de la COP28 insta a triplicar la capacidad de energías renovables para 2030
El presidente de la COP28 llamó el martes en Berlín a "triplicar" la capacidad mundial de producción de energías renovables de aquí a 2030.
Madrid pide a Bruselas ayuda para sus agricultores por la sequía histórica
El gobierno español pidió el martes a la Comisión Europea activar la "reserva de crisis" de la Política Agrícola Común (PAC) para ayudar a sus agricultores, golpeados por una sequía histórica que amenaza las cosechas.
Buenos Aires bajo humo y olor a quemado por incendio en Uruguay
Buenos Aires y su periferia quedaron este lunes bajo una capa de humo y olor a quemado a causa de un incendio en el vecino Uruguay.
Nueve países europeos celebraron cumbre para impulsar producción de energía eólica
Nueve países europeos celebraron este lunes una cumbre con el objetivo de aumentar la generación de energía eólica en el mar del Norte, impulsados por las consecuencias de la guerra de Ucrania y la presión en favor de las energías renovables.
Nueve países europeos realizan una cumbre para impulsar la producción de energía eólica
Nueve países europeos celebran este lunes una cumbre con el objetivo de aumentar la generación de energía eólica en el mar del Norte, impulsados por las consecuencias de la guerra de Ucrania y la presión en favor de las energías renovables.
El cambio climático y la contaminación encogen uno de los lagos más antiguos de Europa
Durante millones de años, el lago Prespa, uno de los más antiguos de Europa, fue cristalino. Pero después de décadas de cambio climático, sobreconsumo de agua y contaminación, está perdiendo volumen a un ritmo alarmante.
Biden anuncia USD 1.000 millones contra cambio climático en países en desarrollo
Joe Biden anunció este jueves otros 1.000 millones de dólares para luchar contra el cambio climático en los países en desarrollo, en una reunión virtual en la que participó su homólogo brasileño Luiz Inacio Lula da Silva, y además pedirá al Congreso 500 millones para el Fondo Amazonía.
Informe expone estragos del cambio climático en Europa
El cambio climático golpeó a Europa con fuerza el año pasado, provocando grandes incendios, temperaturas extremas y falta de lluvia, que impactaron los caudales de los ríos y las capas freáticas, subrayó un informe europeo publicado el jueves.
Volkswagen invertirá 1.000 millones de euros en un centro de vehículos eléctricos en China
El fabricante alemán Volkswagen, muy presente en China, anunció el martes que invertirá 1.000 millones de euros en un nuevo centro de desarrollo para vehículos eléctricos en este país, primer mercado de automóviles del mundo.
El Parlamento Europeo adoptó la reforma del mercado de carbono en la UE
El Parlamento Europeo adoptó este martes una ambiciosa reforma del mercado de carbono en la Unión Europea (UE), un proyecto esencial para los objetivos del bloque en materia de reducción de emisiones de gases de efecto invernadero.